Ministerstvo kultúry prišlo s NOVOU trasou električky: Nemala by rušiť fungovanie SND
Ministerstvo naďalej nesúhlasí s trasovaním električky pred budovou divadla, upozorňuje na problémy, ktoré prevádzke divadla môžu spôsobiť vibrácie a hluk z električkovej trate.
Ministerstvo kultúry (MK) SR predstavilo spolu s aktivistami a odborníkmi alternatívnu trasu električky v širšom centre Bratislavy, ktorá by v úseku Olejkárska – Landererova obchádzala budovu SND na Pribinovej ulici a navyše by mohla byť vedená čiastočne pod zemou.
Posúdenie návrhu
Magistrát hlavného mesta SR Bratislavy zároveň žiada, aby spolupracoval na vytvorení pracovnej skupiny, ktorá by návrh posúdila. Na utorkovej tlačovej konferencii to oznámila šéfka rezortu Natália Milanová (OĽANO).
Pripomenula, že ministerstvo naďalej nesúhlasí s trasovaním električky pred budovou divadla, upozorňuje na problémy, ktoré prevádzke divadla môžu spôsobiť vibrácie a hluk z električkovej trate. „Hoci bola magistrátom predstavená aj akási kompromisná trasa, nemyslíme si, že daný návrh je reálne vhodným riešením,“ dodala.
Pri prezentácii predloženej alternatívy upozornila, že v nej nevidí jediné možné riešenie, zdôraznila však, že pri akomkoľvek návrhu je potrebné zohľadniť prípadné negatívne dôsledky. "Osobne podporím akúkoľvek trasu, ktorá neohrozí fungovanie SND, nebude ani degradovať unikátny verejný priestor pred budovou SND,“ zdôraznila.
Aj pod zemou
Za tím predkladateľov alternatívneho trasovania návrh predstavil Anton Popovič. „S tímom odborníkov sme pripravili dva varianty trasovania, ktoré v celkovej dĺžke takmer 1500 metrov obchádzajú SND,“ uviedol.
„V jednom z variantov je necelých 800 metrov trate vedených pod zemou,“ upozornil. Práve tento variant považujú predkladatelia za najlepší vzhľadom na najmenší vplyv na priepustnosť dopravy, poukazujú tiež na to, že eliminuje riziko narušenia existujúcich inžinierskych sietí a zachováva aj celistvosť verejného priestoru pred divadlom.
Jeden z projektantov návrhu Roman Rymarenko rovnako objasnil, že navrhované alternatívne trasovanie obsluhuje v porovnaní s magistrátnym návrhom väčší rozsah zastavaného územia. „Voľný priestor, ktorý vznikne pri podpovrchovom variante električkovej trasy, môže mesto navyše využiť na zvýšenie kapacity dopravy, pre cyklotrasy či chodcov,“ upozornil Rymarenko.
Trasa popred divadlo
Alternatívne trasovanie električky v okolí Slovenského národného divadla (SND), ktoré v utorok prezentovalo spolu s aktivistami Ministerstvo kultúry (MK) SR, bolo už v roku 2019 vyhodnotené ako nerealizovateľné. Hlavné mesto SR Bratislava to pripomenulo v reakcii na utorkovú tlačovú konferenciu rezortu kultúry, prezentujúcu možnosť električkovej trasy v úseku Olejkárska – Landererova.
Magistrát rovnako zdôraznil, že dôvody nerealizovateľnosti predloženého návrhu v minulosti prezentoval ministerstvu i SND.
Vedenie metropoly naďalej presadzuje trasu prechádzajúcu pred budovou SND. „Je najlepšia pre obyvateľov, riešené územie i samotné divadlo,“ uviedla radnica, odvolávajúca sa na vyhodnotenie viacerých variantov z hľadiska dopravnej obslužnosti, siete električkových radiál, dopravno-technických prekážok i investičných a prevádzkových nákladov.
Technické riešenie
Mesto zároveň avizovalo, že proces sa blíži k návrhu technického riešenia. „Koncom júla budú k dispozícii výsledky meraní nultého stavu hluku a vibrácií, ktoré v súčasnosti ovplyvňujú budovu divadla. Budú slúžiť ako podklad pre vypracovanie matematicko-technického modelu, ktorý bude súčasťou technickej štúdie. Táto štúdia navrhne technické riešenie, ktoré definitívne umožní prevádzku električky pred divadlom bez výrazných vplyvov na budovu divadla,“ dodal magistrát.
Pripomenul aj stanovisko medzinárodnej expertnej skupiny, ktorá deklarovala, že pri primeraných opatreniach neohrozí výstavba ani prevádzka električkovej trate chod divadla. „Od začiatku deklarujeme, že bez splnenia tejto podmienky trať pred divadlom nepostavíme,“ zdôraznila radnica.
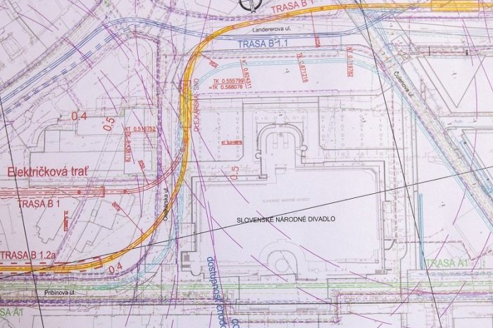
Na vizualizácii hore je trasa, ktorú predstavil magistrát
Alternatívna trasa, ktorú predstavilo MK SR je v článku
Témy, ktoré hýbu Bratislavou
- FOTO: Búranie v neslávne známej budove v Sade J. Kráľa. Pozrite, čo všetko práce ODHALILI
- Arriva má opäť PROBLÉMY s vodičmi: V Bratislavskom kraji nevypravila DESIATKY spojov
- DRÁMA na Dunaji v centre Bratislavy: Polícia zachránila muža v poslednej chvíli
- Ceny pohonných hmôt sú vysoké: Zmení to cenu lístkov v bratislavskej MHD a regionálnej doprave?