Bratislava24.sk

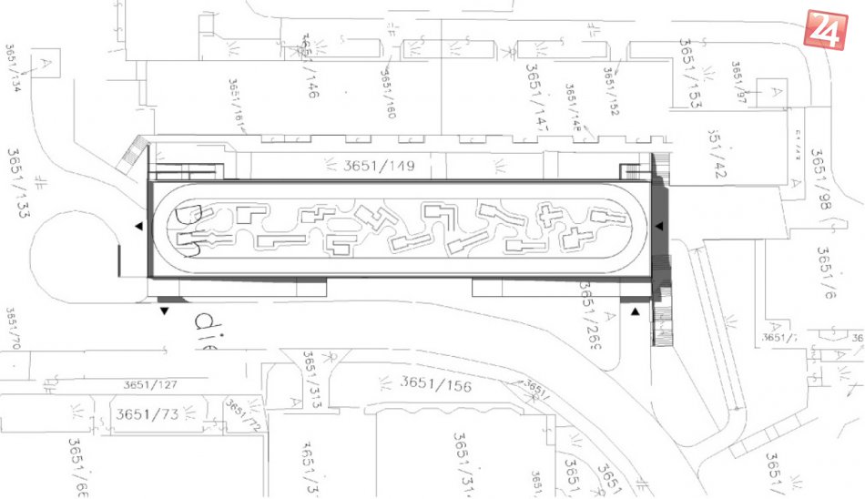
Galéria k článku V Karlovej Vsi by mohlo pribudnúť viac ako 400 parkovacích miest

variant s ihriskom na streche
Zdroj: enviroportal.sk
2 / 9