Bratislava24.sk

Galéria k článku Vrahovia zelene zbavujú ulice Bratislavy života

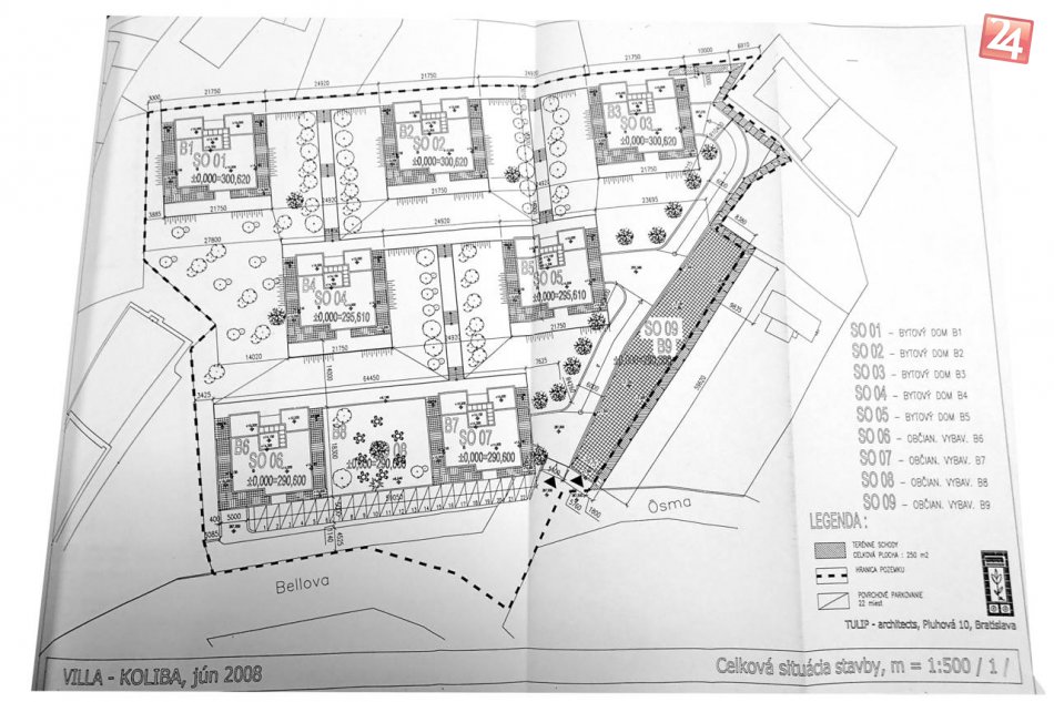
Plán výstavby VILLA KOLIBA.
Zdroj: Facebook
3 / 4